전문센터와 전문클리닉으로 구성된

정형외과 특화센터

EVIDENCE - BASED

모든 고관절 질환이 수술로 이어지지는 않습니다

하지만 수술이 필요한 시점을
놓치지 않는 것은 무엇보다 중요합니다.

CHECK LIST

중대형견에서 자주 나타나는 고관절 질환

혹시 이런 증상이 있다면
반드시 확인이 필요합니다.

고관절 수술이 필요한 경우

고관절 수술은 다음과 같은 상황에서 고려됩니다.

01

보존적 치료에도 통증이 반복되는 경우

02

보행 이상이 점점 심해지는 경우

03

고관절 구조 이상으로 일상 생활이 어려운 경우

04

관절 변형이 진행되어 기능 저하가 뚜렷한 경우

“지켜보자”는 선택이
오히려 관절 손상을 키울 수 있습니다.

고관절 수술 전, 무엇을 확인하나요

1단계

보행 패턴과 통증 반응 평가

2단계

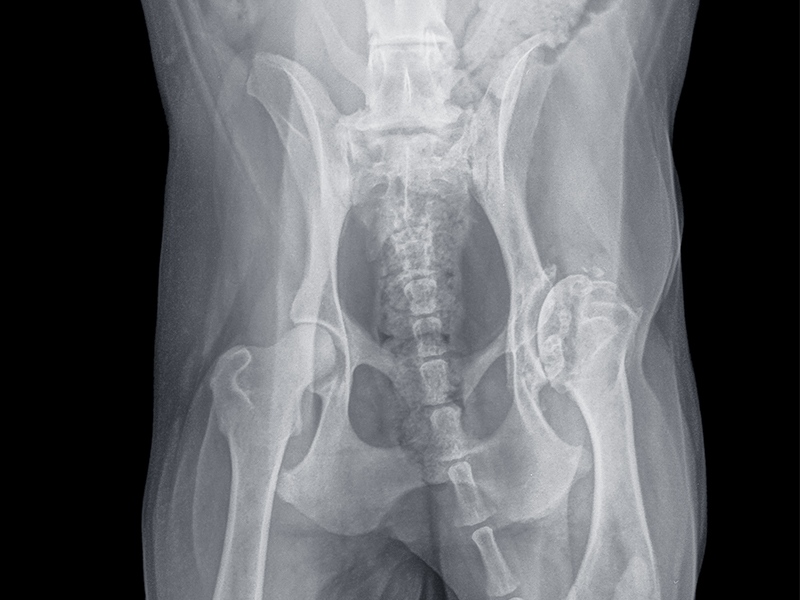
X-ray 기반 고관절 구조 분석

3단계

아이의 나이·체중·활동량 고려

4단계

수술 후 회복 가능성 예측

정직한동물의료센터는
모든 아이에게 수술을 권하지 않습니다.

수술 이후의 삶의 질을 기준으로
꼭 필요한 경우에만 수술을 권합니다.

고관절 수술

성장 단계와 관절 손상 정도에 따라 수술 선택지가 달라집니다.

대퇴골두절제술 FHO 수술 이미지

JPS

성장기 강아지에서 고관절 질환의 진행을 늦추는 수술입니다.

  • 초기 단계에서 고려
  • 적절한 시점이 중요
대퇴골두절제술 FHO 수술 이미지

골반절골술

골반 각도를 조정해 구조를 교정하는 수술입니다.

  • 젊은 연령에서 시행
  • 사전 평가 필수
대퇴골두절제술 FHO 수술 이미지

대퇴골두절제술 (FHO)

대퇴골두를 절제하여 통증을 완화하는 수술입니다.

  • 소형견에서 많이 시행
  • 재활이 매우 중요